AZLinks > 習志野市鷺沼台3丁目第8 1期
本日ご案内可!新築戸建のここがイチオシ!
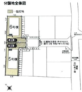
◎残り1棟販売中!
◎京成本線「京成大久保」駅まで徒歩15分!
◎4LDKでゆったりと暮らすことができる物件!
◎駐車スペース1台分!収納たっぷりあります♪
◎陽当り・通風良好です!
◎洗面脱衣所などの設備面で人気の高い建売住宅です
◎テレワークルームあり!
◎整理整頓しやすい玄関収納!
■資料請求・見学予約は043-290-9500まで!
現地販売会 毎週土日祝
画像をクリックして視点を操作










(※元利均等方式 金利5.00%まで ※返済年数5~50年まで入力できます)
(※ボーナスは年2回で計算しています。1000万円まで入力できます)
(※物件購入時、その他諸費用が発生する場合がございます)
| 所在地 | 千葉県習志野市鷺沼台3丁目 | ||
|---|---|---|---|
| 交通 | |||
| 間取り/詳細 |
4LDK/ LDK 15.7帖 |
建物面積(坪数) | 95.98㎡(29.03坪) |
| 価格 | 3,188万円 | ||
| 駐車場/月額料金 | 有(1台)/0円 | ||
| 土地の敷金/保証金 | -/- | 借地料/借地期間 | -/- |
| 土地権利 | 所有権 | 土地面積(坪数) | 122.92㎡(37.18坪) |
| 傾斜地部分面積 | - | 路地状敷地 | - |
| 私道負担面積/セットバック | -/- | 高圧線下面積 | - |
| 地目/地勢 | 畑/- | 接道状況 | 一方(東 私道 4.0m) |
| 建ぺい率/容積率 | 50%/100% | 用途地域 | 第一種低層住居専用 |
| 都市計画 | 市街化区域 | 種別/構造 | 新築一戸建/木造 |
| 階建 | 2階建 | 築年月(築年数) | 2026年 3月 (新築) |
| 総区画数/販売区画数 | -/1区画 | 向き | 南 |
| 現況 | 完成済み | その他の法令上の制限 | - |
| 取引態様/引渡時期 | 一般媒介/2026年4月上旬 | 建築確認番号 | 第KBI-SGM25-10-4461号 |
| 物件番号 | 101598998 | 取引条件の有効期限 | 2026年03月19日 |
| 設備条件 |
|
||
| 備考 |
『住まい探しフェア』プレゼントキャンペーン対象物件! 即日見学OK!年中受付でお問い合わせ受付しております! ――・実績多数の新築専門店・―― ~初めてでも安心して相談できるお店~ 「ここ住みたい」そんな理想のお家をお探しします! ベビーカーOK、キッズスペースやソファ席、駐車場も完備で安心! ※ルームツアー動画など、Instagram随時更新中 ――・AZLinks購入ポイント・―― ・相談、契約、お引渡し後も全て同じスタッフがサポート ・注文住宅、建売住宅の比較提案もできます ・年中無休で問い合わせ受付、即日見学可 ・住宅ローンアドバイザー資格者、宅建士が在籍 ・頭金0円購入(住宅オプション、家具家電、太陽光発電、火災保険など) 〈3部門3冠達成の実績〉 ・初めてでも安心不動産会社<第1位> ・千葉四街道人気の不動産会社<第1位> ・知人に紹介したい不動産会社<第1位> ▼▼ご案内について▼▼ ----------------------------------------- [現地待ち合わせ]営業スタッフがその場でお問い合わせ以外の物件もご提案、そのままご案内をさせていただきます。 [来店]ご来店いただき住宅ローン説明(事前審査も可)、未公開物件のご提案も可能です。キッズスペース、ソファ席がございますのでお子様連れでもご安心ください。 〇建築完成前の場合は、建築現場と近隣モデルハウス(建物施工例)のご案内が可能です。 〇周辺環境施設、建物保証の説明など細かくご説明いたします。 〇ご検討エリアなどの他物件又は、他社に問い合わせをした物件も当社でまとめてご案内できます。 ○直接お会いする事なくスマートフォンを使ったリモートのご案内、ご相談も承っております。 ▼▼住宅ローン相談▼▼ -------------------------------------------- 住宅ローンアドバイザー資格者が最適な組み立て、アドバイスをさせていただきます。 ・個人事業主、自営業の方 ・車など借入残債がある方 ・どの銀行で借りるのがいい? ・頭金0円でも組めるって本当? 当社で事前審査手続きもできますのでお気軽にご相談下さい。 ▼▼ご成約キャンペーン▼▼ ---------------------------------------------- 当社で新築ご成約の皆様に選べる!ステキな住宅オプションをプレゼント! (A)太陽光発電クーポン(B)選べる生活家電(C)選べる住宅オプション お問い合わせ後、当日中に担当スタッフよりご連絡させて頂きます。 |
||
| 取扱会社 |
|
||
| QRコード |
このQRコードを読み取ることで、スマホでも物件情報を確認できます。 |
||
※地図上に表示される物件の位置は付近住所に所在することを表すものであり、実際の物件所在地とは異なる場合がございます。
習志野市鷺沼台3丁目第8 1期に関するこだわり条件から探す
習志野市以外の市区町村から探す